2026-04-18
Mirauge3D+Airis3 稳健制作、简单分享
随着智慧城市的发展,真实可靠高效率的可视化信息对我们越来越重,利用无人机的优势以及倾斜摄影技术,可以快速准确的对一片区进行实景建模。模型场景的浏览、查询和测量服务也是实景三维模型成果中的重要应用,通过对成果及相关服务进行网络发布是实现这些应用的重要途径。
此次,利用Mirauge3D与AIris3平台轻松实现从影像数据到三维倾斜模型成果的输出与WEB发布,打开浏览器即可多人在线查看编辑。
MODEL RECONSTRUCTION
模型·重建
数据整理
影像名和数据名一一对应,检查是否重名或含有空格,再将影像和数据储存到无空格的网络路径。

图1 影像路径
启动软件,新建工程,导入影像和相机参数
在网络路径上启动软件,新建工程,导入整理好的影像和数据。

图2 新建工程

图3 导入影像

图4 设置相机参数



图5 设置属性、坐标系,导入POS(没有可以不导入)

图6 设置空三参数(默认即可)
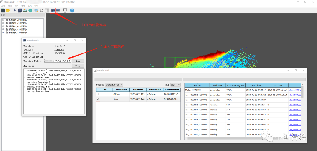
打开节点管理器,提交空三

图7 点击空三图标

图8 打开节点管理器,输入工程路径

图9 空三完成
设置切片大小,提交建模

图10 点击切片编辑图标,设置切片大小

图11 点击自动建模图标,设置建模参数

图12 打开节点管理器,输入工程路径,开始建模

图13 建模完成,使用M3dViewer浏览模型
MODEL PUBLICATION
模型·发布
实景三维模型这类数据的共享和携带让许多技术人员头疼了很久,通常做法是通过云盘共享或者视频展示,可一旦遇到大数据几十个G,同时甲方又想看到细节效果,就只能通过硬盘,费时又费力。如果将实景三维模型通过网络发布,既能模型共享查看细节的同时,又支持多人网上编辑。中测智绘自主研发的Airis3平台(网址:http://www.airis3.com),即可解决以上问题。
模型数据转换

图14 打开模型转换程序

图15 将Product中的osgb数据转为b3dm数据

图16 b3dm数据转换结果
三维模型的WEB发布
平台选择中测智绘自主研发的AIris3。
网址:http://www.airis3.com

图17 登录AIris3平台

图18 b3dm数据压缩打包,在素材管理中上传

图19 打开场景管理

图20 点击素材库,导入素材

图21 在场景管理中设定场景封面、视角和相关信息

图22 点击右上角保存,保存场景当前设置

图23 选择分享,即可将链接或者二维码分享,多人线上浏览模型
文章标签:MIrauge3D 实景三维建模 AIris3实景三维应用系统 三维模型成果
发布时间:2020/06/08 13:57:34 文章来源:实景三维建模_数字孪生解决方案_冰柏科技 阅读量:965
分享: